ИЦМ НиТМЧ и Дни Чугуна в Челнах

Исследовательский центр Модификатор

Модифицирование сплавов: разработка, внедрение, технический аудит
Металловедение. Металлургия. Литейное производство

[ на главную ] [ конференция ] [ выставки ] [ предприятия ] [ литература ] [ вопрос-ответ ] [ экология ] [ контакты ]
    МНТК Дни чугуна в Челнах 2024 успешно завершилась »

Троостит

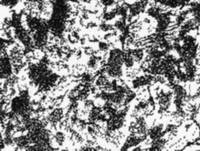
Структура троостита

Троостит (troostite, название произошло от имени французского химика Л.-Ж. Труста [L.-J. Troost; 1825-1911]), также называют тростит или трустит - структурная составляющая железоуглеродистых сплавов, представляющая собой дисперсную смесь феррита и цементита. Отличается от перлита и сорбита более тонким строением. Троостит образуется при распаде аустенита в температурном интервале 400-500°C (цементит троостита закалки - пластинчатый цементит) или при отпуске при температурах 350-400°C (цементит троостита отпуска - зернистый цементит).

Также как сорбит и перлит, троостит является продуктом распада аустенита; при этом превращение происходит диффузионным путём. Свойства и строение продуктов превращения аустенита зависят от температуры, при которой происходил процесс его распада.

Структура троостита

Так как при низкой температуре (что соответствует изгибу С-кривой) дисперсность структур ещё более возрастает, то дифференцировать под оптическим микроскопом отдельные составляющие феррито-цементитной смеси становится почти невозможно. Такая структура называется трооститом. При исследовании с помощью обычного оптического микроскопа троостит выглядит как равномерно травящаяся сплошная масса. Но при наблюдении под электронным микроскопом пластинчатое строение троостита обнаруживается вполне чётко.

Таким образом, перлит, сорбит и троостит - структуры с одинаковой природой (феррит + цементит), отличающиеся степенью дисперсности феррита и цементита.

Пример структуры троостита представлен на фотографии.

Троостит отпуска

Превращения при отпуске, согласно [1], относятся к четвёртому основному превращению (теория термической обработки стали). Сталь, отпущенная при температуре 350-500°C имеет структуру троостита. Троостит отпуска, как уже упоминалось ранее, являет собой смесь феррита и зернистого цементита.

Автор: Корниенко А.Э. (ИЦМ)

Лит.:

  1. Гуляев А.П. Металловедение. - М.: Металлургия, 1977. - УДК669.0(075.8)
  2. Иванов В.Н. Словарь-справочник по литейному производству. – М.: Машиностроение, 1990. – 384 с.: ил. ISBN 5-217-00241-1

См. также Железоуглеродистые сплавы и Изотермическое превращение аустенита.





[на главную] | [новости] | [конференция] | [книги] | [статьи] | [патенты] | [выставки] | [справочник] | [вопрос-ответ] | [предприятия] | [экология] | [персоны] | [ссылки] | [реклама] | [поиск] | [галерея] | [контакты]


Графит. ИЦМ

Алмаз. ИЦМ

Фуллерен. ИЦМ


Консультации по литейному производству


Наши контакты: mod2004@rambler.ru тел.: +7 917 270 30 43

Locations of visitors to this page 2007-2020 © "Исследовательский центр Модификатор" www.modificator.ru  
При использовании материалов сайта, активная ссылка на источник обязательна.